187 Slopeview Drive Southwest

Offered at: $4,000,000

MLS®: A2281811

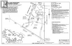
EXCEPTIONAL DEVELOPMENT OPPORTUNITY | THE SLOPES OF SPRINGBANK HILL| Rare opportunity to acquire a prime 4-acre parcel in one of Calgary’s most sought-after west end neighbourhoods. Featuring two existing driveways and two municipal addresses, this expansive site offers outstanding potential for subdivision and future development. Ideally positioned within The Slopes of Springbank Hill, the property boasts sweeping ROCKY MOUNTAIN VIEWS, full of lush mature trees, privacy and is surrounded by prestigious estate homes. Preliminary potential exists for up to eight 0.5-acre lots (subject to City of Calgary approval), making this an excellent opportunity for developers, builders, or long-term investors seeking a strategic land holding. This is perfectly suited for luxury estate homes or boutique custom development. The property is priced based on land value only; however, the existing home is large, updated, fully livable, and wheelchair accessible. Interior photos are available upon request. All development and land use changes are subject to approval by the City of Calgary. This is one of the last remaining large parcels in this highly coveted west-end. ***Private showings by appointment only. Please do not walk the property without an appointment.*** (id:6769)

Quick Stats

Key Home Data

5
BATH(S)
7
BED(S)
4850
SQFT
YES
SHOWING AVAILABLE
Property Type:
Single Family
Home Ownership:
Freehold

Payment Calculator

Calculate your monthly mortgage payment.

Mortgage Amount
$
Amortization
years
Payment Freq.
Interest Rate
%
Calculating...

All About the Details

See specific details below.

Neighbourhood Statistics

Get to know your neighbourhood.

Similar Properties

Other properties you might like.

Search by Keyword:
« prev 1 2 3 next »

Request a Showing

Have questions about this property?

Chat Now

Contact Miranda Moser
About This Property.


Office: 403-470-0021

Please enter a valid first name and last name, e.g., John Smith.